Buscar
 
 
 
Inicio
Autoridades
Concejo Deliberante
Cultura y Turismo
Deporte
Obras Públicas
Ejecutivo
Salud y Medio Ambiente
Tránsito
Noticias
Descargas
Normativas de Interés
Recursos Municipales
Boletín Oficial
 
Ejecutivo | 19/10/2016
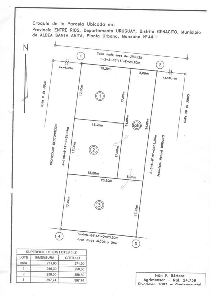
VENTA DE TERRENOS MUNICIPALES POR OFERTA PÚBLICA

El Municipio de Santa Anita, a través de la Ordenanza N° 119, adquirió un terreno de 4.462 m² por $1.250.000 con destino al Banco de Tierras. De allí se obtendrán 16 lotes para ser vendidos a personas residentes en la localidad y que no cuenten con otra propiedad a su nombre.
A su vez, el Municipio pone en venta por oferta pública 3 lotes ubicados sobre calle Urquiza entre 9 de Julio y 20 de Junio. 
La oferta no podrá ser inferior a: 
Lote N° 1 - 258,30 m²: $150.000.
Lote N° 2 - 258,30 m²: $120.000. 
Lote N° 3 - 397,74 m²: $140.000. 
Las personas que deseen realizar una oferta por alguno o varios de los terrenos deberán presentarla por escrito en sobre cerrado por Mesa de Entrada. 
Los sobres se abrirán el miércoles 14 de diciembre del corriente año a las 10:00 h. en el edificio municipal con la presencia del intendente, secretario de gobierno y concejales.
Las bases y condiciones podrán retirarse por Mesa de Entrada a partir del día de la fecha.
 

 

 
 
 
Calle P. E. Becher 409 - Santa Anita - Entre Rios - CP: 3248
Tel: (03445) 497143 / 497205 - E-mail: municipio@santaanita.gob.ar
Web: www.santaanita.gob.ar